Ikan badut bersembunyi dibalik tentakel anemon yang melambai-lambai. “Hai teman aku di sini. Kalian mencariku? Ayo tangkap aku.” Goda clown fish yang kini populer dipanggil Nemo.
Tiba-tiba saya rindu ikan berwarna cerah berpola lucu mirip badut. Dulu setiap pulang ke Lampung saya selalu menyapanya di Teluk Lampung yang kini menjadi tujuan wisata bahari populer.
Kira-kira di Batam bisakah saya menemukan Nemo?
Bulan November memang bukan saat yang tepat untuk bermain di laut karena cuaca tak bersahabat. Tapi jika rindu dan hasrat sudah membuncah apa yang bisa menahan langkahmu. Resiko kehujanan dan masuk angin tetap berangkat ke pantai.
Apalagi jalan-jalan kali ini terasa begitu spesial. “Kapan lagi kita piknik bareng. Bulan Desember pasti pada punya rencana piknik masing-masing.” Teh Lina meyakinkan semua Blogger Kepri untuk turut Trip Bedol Desa ke Pulau Abang.
Bagi diver perairan pulau Abang dikenal sebagai spot menyelam terbaik di Batam. Meski harus melewati 6 jembatan dan membutuhkan perjalanan darat satu jam, pulau Abang selalu ramai di akhir pekan.

Usai melewati perjalanan darat dari Mall TOP100 , kami sampai di pelabuhan PT. Pari Pulau Galang Baru. Tanpa menunggu lama kami diboyong ke pulau Nguan dengan menggunakan pompong (kapal kayu).

Senyum kami mengembang ketika berlahan langit mulai cerah dan rinai hujan surut berderai. Maklum saja sepanjang perjalanan hujan turun dengan derasnya. Tapi kami tak gentar karena cuaca di kepulauan seperti Batam memang sulit untuk ditebak . Hujan dan panas bisa datang kapan saja berganti tanpa bisa ditebak.

Sesampai di homestay Galang Bahari Wisata peserta trip diberi pengarahan yang tujuannya agar kita bertanggung jawab dengan alam dan menjaganya. Jangan pernah kesenangan travelling-mu merusak apalagi mengusik alam teman.
“Untuk tumbuh beberapa sentimeter karang membutuhkan waktu bertahun-tahun”, Bang Jack menjelaskan. Jadi jangan pernah menginjak karang apalagi sampai mengambul untuk dibawa pulang.
Selain memberikan informasi biota laut Bang Jack juga memperkenalkan pemandu-pemandunya. ” Ada 10 pemandu yang akan membimbing para tamu. Jadi yang tidak bisa berenang jangan khawatir.”

Usai berganti pakaian dan mengenakan pelampung kami melanjutkan perjalanan menuju pulau Rano. Pulau berpasir putih ini menjadi tempat latihan menggunakan peralatan snorkeling sebelum masuk ke laut.

Tak hanya mengenakan snorkel dan fin saja, kami dipandu untuk melakukan pemansan ringan agar tidak terjadi cedera saat melakukan aktivitas snorkeling. Dan pelajaran paling penting adalah bagaimana membiasakan diri bernapas dengan snorkeling.

Agar tidak gugup saat di laut , setelah mengerti cara mengenakan alat , mari mencoba membenamkan wajah ke dalam air sambil mengatur napas.
“Tarik… hembus… tarik… hembus…”
Sudah percaya diri , saatnya menuju spot pertama. Pompong berlayar ke pulau Dedap. Setelah melewati pulau Abang Kecil dan pulau kecil lainnya kami sampai di pulau dengan pantai pasir putih menghampar. Saat cuaca terang air laut di sini berwarna biru hingga toska. Warna biru berasal dari pembiasan cahaya dasar laut berpasir sedangkan hijau toska pembiasan padang lamun di bibir pantai.

Duh kok rasanya agak deg-degan kaya mau ketemu mantan. Maklumlah, saya sudah tidak lama bersnorkeling. Apalagi berat badan sekarang sudah tiga digit, pastilah napas tidak sepanjang dulu.

” Eh di sana ada Nemo… Nemo!”
” Di sini juga ada…”
“Nemo?”
Sumpah hati ini makin galau mendengar suara beberapa peserta trip yang sudah turun ke laut terlebih dahulu.
Pelan-pelan saya kenakan fin open heels bukan high heels. *slow motion*
Sejenak kemudian saya tarik hotpants orange ke atas agar tidak melorot *masih slow motion*
Berlahan namun pasti saya kenakan fin sambil mengibaskan rambut * konsisten slow motion*
“Byur!!!” *ini nggak pake slowmotin* (Jika berat badan 100 kg , percepatan gravitas 10 kg/ms2 dan ketinggian 1 meter. Maka gaya jatuh ke bawah adalah 1000 Newton dan mustahil kalau ada slowmotion.)
“Kapal oleng kapten!”Seisi kapal panik karena kehilangan keseimbangan setelah bayi gajah masuk ke laut dan gelombang besar timbul.

Sekilas saya melihat terumbu karang dengan ikan warna-warni melintas. “Ciee, yang renangnya kaya bajaj sombong, dipanggil nggak menoleh.”
Bahasa ikan dengan bahasa kita beda Bang. Wajar kalau mereka nggak menoleh. Walau si Nnemo bersembunyi di balik anemon hati Babang bahagi banget. Kayanya sudah tujuh purnama aku nggak ketemu kamu Mo. Nemo!
Inilah perjumpaan saya dengan Nemo yang cantik itu. *meluk kamera underwater*
MAAF DILARANG MEMELUK DAN MENYENTUH CLOWN FISH DAN BIOTA LAUT LAINNYA


Usai snorkeling di spot pertama dekat pulau Dedap , kapal merapat di pantai berpasir putih. Dan semua peserta trip turun dan langsung berfoto manja . Sepertinya berfoto itu kebutuhan utama semua traveller dan blogger.
“Ya , iyalah Bang. Kalau Adek nggak foto nanti orang-orang nggak tahu kalau Adek sudah sampai hati Abang. Eh pulau Abang!”

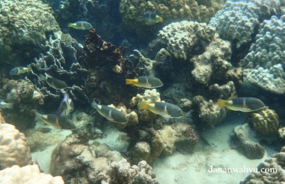
Secara geografis pulau Dedap masih di dalam kawasan kota Batam tapi secara karakteristik lebih mirip pulau-pulau di kabupaten Lingga. Pasir putih dan air laut jernih kebiruan dengan biota laut yang lebih beragam dibandingkan perairan pulau Batam.


Setelah mengisi perut dan beristirahat petualangan bahari dimuali kembali saatnya menyelam di spot kedua. Masih di sekitaran pulau Dedap , tapi spot ini agak sedikit lebih dalam karena air sudah pasang.

Di sini terumbu Acropora hyacinthus lebih banyak mendominasi dibandingkan jenis lainnya. Tapi yang harus diwasdapai adalah terumbu bergenus arcpora. Karena bentuknya menjari jika terinjak akan mudah patah.

Acropora millepora salah satu jenis terumbu karang di perarian pulau Abang
Sayang banget kan kalau terumbu Acropora millepora lebar ini sampai terinjak dan rusak. Jadi bagi teman-teman yang belum bisa mengapung lebih baik mengenakan pelampung. Banyak kejadian karena panik di air tanpa sadar gerakan kaki yang agresif merusak karang-karang cantik ini.

Dan tetap dong di spot kedua , lagi-lagi ketemu dengan dedek Nemo yang gemesin. Tapi sekarang sudah nggak gemes-gemes amat. Cukup gemes ajah!

Spot terakhir dan pamungkas trip kali ini di depan pulang Abang Kecil. Ternyata sekitar 500 meter dari pulau berpenduduk terdapat rumpon gulma laut . Setelah rumpon terdapat tebing coral turun ke bawah.
Meski terumbu karangnya tidak sepadat di spot kedua tapi biota di sini lebih beragam. Mungkin gulma-gulma ini tempat yang baik bagi ikan untuk berkembang biak dan mencari makanan. Dan ikan-ikan besarnya lebih berada di tebing coral.

Dan yang paling bikin deg-degan ketika bertemu si cantik ubur-ubur melintas manja sambil melambaikan tentakel. Kalau tersenggol dipastikan rasanya seperti tersengat listrik.
Tuhan itu adil Mas, mahluk rapuh kaya ubur-ubur dianugerahi Tuhan senjata sengat untuk melindungi diri. Kaya cewek cantik diberikan mulut cerewet dan muka jutek untuk melindungi diri dari cowok-cowok gombal.
Terus cewek-cewek jelek yang cerewet apa kabar? Wah kalau itu sih musibah bukan anugerah. *hening*

Sebetulnya spot snorkeling di perairan pulau Abang ini banyak banget dan aslinya banyak yang lebih bagus. Tapi dengan pertimbangkan cuaca , arus dan peserta trip dipilihlah tiga spot tadi.
Bisik-bisik dengan salah satu pemandu sebetulnya ada spot yang lebih bagus dan menantang karena berada di pertemuan dua arus. Tapi tempat seperti ini memang tidak bisa untuk berselfie ria. Selain harus memiliki kemampuan berenang peserta trip juga harus dapat membaca arus bawah laut.
Intitnya mereka yang mau snorkeling di sini harus bisa berenang dan tidak mudah panik. Aku jadi penasaran dengan spot snorkeling lainnya di pulau Abang.
“Bang ajakin Adek ke spot itu donk.”
“Pelaminan?”
“Spot snorkeling Bang!”
“O… G-spot.”
“@#%@@%@#%”

Sebelum kembali ke pulau Nguan kita singgah kembali ke pulau Rano untuk minum air kelapa muda . Duh endes banget trip hari ini , puas bersnorkeling lalu menutup trip dengan leyeh-leyeh santai di pulau berpasir putih.
Finally, misi finding Nemo di pulau Abang selesai hari ini. Hati Babang pun jadi bahagia melihat nemo warna-warni di antara anemon.

Galang Bahari Wisata
Facebook http://www.facebook.com/galang.bahari
Instgagram http://www.instagram.com/pulauabangtrip
Telp / WA 0812 1954 4538 , 0852 6463 4106
Paket Snorkeling ( Rp 280K)
1. Transportasi laut PP
2. Peralatan snorkeling dan fin
3. Tim guide bersertifikat
4. Foto underwater
5. Kelapa muda
6. Teh atau kopi panas
7. Air mineral
8. Permen
9. Perlengkapan P3K

Ajib! Dapet aja kk, ubur-ubur.
Dan ternyata kk ices jago free dive. Mantap!
SukaSuka
Jangankan Ubur Ubur , bajaj di lautan aja dapat wkakakakak
SukaSuka
Cieeee.. yang ketemu bajaj di laut 😀 : D
SukaSuka
Ah kakak *lari manjah *
SukaSuka
Kosa kata lama yg muncul kembali:
Bedol desa dan hukum gravitasi(tanpa slow motion)…
Keren petualangannya, sayang saya tak bisa ikut….uhukk..!
SukaSuka
Seru banget pikniknya ya kakaaaaaak…. si Lala hepi banget loooh…
Dia udah ngajakin ke Pulau Abang lagi, hehehe…
SukaSuka
Ajakin nginep aja yuk ke benan. Beliin alat snorkeling sendiri aja
SukaSuka
Ayuuk… Lala pasti seneng 🙂
SukaSuka
Lalu cewek jelek yang cerewet apa kabar? Wkwkwk…jleb banget. Btw big thanks untuk Galang Bahari atas trip yang menyenangkan ini.
SukaDisukai oleh 1 orang
Duh seru kali ya KAK acaranya haha walaupun cuaca mendung tp tetep asyik ya reramean gituh hihi. Nemo oh nemo
SukaDisukai oleh 1 orang
keren, dapat gambar ubur-uburnya. Nemo selalu menggemaskan ya
SukaDisukai oleh 1 orang
itu ubur2 yang di spot terakhir ya kak ??
SukaSuka
Iya tapi hati hati lumayan kalau disengat
SukaSuka
visibilitynya lumayan yaa kak
SukaSuka
Cakep KAK visibilitynya
SukaSuka
Wah ..
Sepertinya seru yah acara Famtripnya…
jadi inget film Finding Nemo setelah baca ini. hehe
SukaSuka
Ayo ke abang
SukaSuka
Dibanding nemo masih gemesan bajaj ya 😀. Dapet aja foto-foto keren hiks besok2 bawa cover anti air sama belajar renang ah
SukaDisukai oleh 1 orang
Belajar nyelem yuk KAK
SukaSuka
mantaps banget, teringat kartun nemo.
SukaDisukai oleh 1 orang